
Inmet mantém alerta de ventos fortes no litoral do Ceará e em outros estados do Nordeste
Alerta também inclui áreas litorâneas dos estados do Rio Grande do Norte, Piauí e Maranhão

Alerta também inclui áreas litorâneas dos estados do Rio Grande do Norte, Piauí e Maranhão

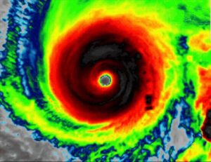
O furacão Melissa tocou o solo de Cuba na madrugada desta quarta-feira (29), um dia depois de devastar a Jamaica como uma das tempestades mais

O governador do Rio de Janeiro, Cláudio Castro, solicitou nesta terça-feira (28) à Secretaria Nacional de Políticas Penais (Senappen), vinculada ao Ministério da Justiça, a

O governo do RJ tinha afirmado nesta terça-feira (28) que 60 criminosos foram mortos durante a megaoperação na Penha e no Alemão — outros 4 policiais também morreram.

Criminosos do Comando Vermelho retaliaram contra a megaoperação da Segurança Pública do Rio nos complexos do Alemão e da Penha nesta terça-feira, 28 de outubro

De acordo com a nutricionista Cibele Santos, o cuidado deve ir além da quantidade de açúcar adicionado às receitas.

A mídia nacional está cada dia menos corajosa, menos audaciosa e menos verdadeira. Não fosse o interesse econômico, poucos estariam ocupando seus postos. O “cala


A cautela da Apple quanto ao avanço em IA tem gerado questionamentos sobre sua capacidade de acompanhar o ritmo de inovação do setor.