O furacão Melissa tocou o solo de Cuba na madrugada desta quarta-feira (29), um dia depois de devastar a Jamaica como uma das tempestades mais potentes já registradas no Atlântico, informou o Centro Nacional de Furacões dos Estados Unidos (NHC).
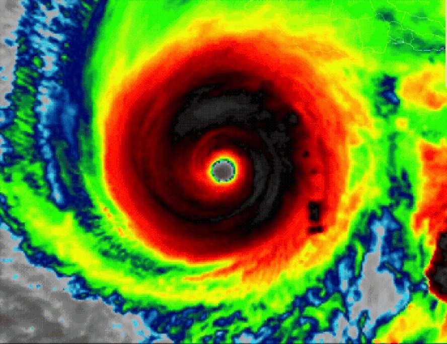
Apesar de ter perdido força e sido rebaixado para a categoria 3, Melissa chegou à província de Santiago de Cuba com ventos sustentados de cerca de 195 km/h. Uma hora depois, as rajadas diminuíram para 185 km/h, segundo boletim divulgado às 5h (horário de Brasília).
O NHC alertou que o furacão ainda provoca marés de tempestade com risco de vida, inundações repentinas, deslizamentos de terra e ventos destrutivos.
As autoridades cubanas informaram que aproximadamente 735 mil pessoas foram evacuadas para abrigos em cinco províncias sob alerta máximo: Granma, Santiago de Cuba, Guantánamo, Holguín e Las Tunas.
“Haverá muito trabalho pela frente. Sabemos que os danos serão extensos”, declarou o presidente Miguel Díaz-Canel em pronunciamento televisionado, garantindo que “ninguém será deixado para trás e nenhum recurso será poupado para proteger vidas”.
O mandatário também pediu que a população não subestime a força de Melissa, descrito por ele como “o furacão mais poderoso já registrado em território cubano”.
Jamaica: “A tempestade do século”
Na terça-feira (28), Melissa atingiu a Jamaica com ventos de até 300 km/h, enquanto ainda era um furacão de categoria 5 o mais intenso desde o início dos registros meteorológicos no país, há 174 anos. Meteorologistas classificaram o fenômeno como a “tempestade do século”.
O primeiro-ministro Andrew Holness afirmou que o governo ainda não confirmou mortes diretamente ligadas ao furacão, mas reconheceu que há expectativa de vítimas diante da magnitude da destruição.
“Nosso país foi devastado, mas vamos reconstruir e faremos isso ainda melhor do que antes”, disse Holness à CNN.
O governo jamaicano estima que ao menos 1,5 milhão de pessoas metade da população da ilha foram afetadas. Mais de 500 mil moradores ficaram sem energia elétrica, e a paróquia de St. Elizabeth ficou completamente alagada.
A Cruz Vermelha relatou “impacto massivo” e alertou para o risco de colapso de infraestrutura, com hospitais danificados, casas destruídas e estradas intransitáveis.
Meteorologistas destacaram que Melissa é o terceiro furacão mais intenso já registrado no Caribe, atrás apenas de Wilma (2005) e Gilbert (1988) este último também responsável por grandes estragos na Jamaica.
Região em alerta
O furacão deve cruzar o leste de Cuba ao longo desta quarta-feira e avançar em direção às Bahamas nas próximas horas. A previsão indica chuvas de até 51 centímetros e marés de até 3,6 metros.
Um alerta de furacão está em vigor para as Bahamas centrais e sudeste, enquanto Turks e Caicos estão sob alerta de tempestade tropical.
Nos países vizinhos, como Haiti e República Dominicana, Melissa já provocou chuvas torrenciais e inundações, deixando ao menos sete mortos no Caribe três na Jamaica, três no Haiti e um na República Dominicana.
“Hoje será um dia muito difícil para milhares de pessoas na Jamaica. Telhados serão arrancados, enchentes vão subir e muitos ficarão isolados”, disse Necephor Mghendi, do Comitê Internacional da Cruz Vermelha.
O furacão Melissa continua sendo descrito por especialistas como “extremamente perigoso”, capaz de provocar consequências catastróficas por onde passa.
Fonte: G1
